Ischnosoma
Ischnosoma | ||||||||||||||||||||||||||
|---|---|---|---|---|---|---|---|---|---|---|---|---|---|---|---|---|---|---|---|---|---|---|---|---|---|---|
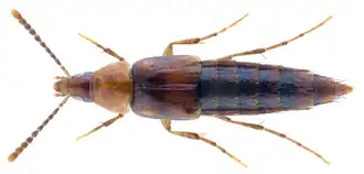
![]() Lordithon exoletus | ||||||||||||||||||||||||||
| Научная классификация | ||||||||||||||||||||||||||
|
||||||||||||||||||||||||||
| Латинское название | ||||||||||||||||||||||||||
| Ischnosoma Stephens, 1829 | ||||||||||||||||||||||||||
| Виды[1] | ||||||||||||||||||||||||||
См. текст | ||||||||||||||||||||||||||
|
Ischnosoma (лат.) — род жуков-стафилинид из подсемейства Mycetoporinae (до 2021 в Tachyporinae).
Распространение
Повсеместно, но наибольшее разнообразие в Палеарктике, Неарктике и Ориентальной области[2][3].
Описание
Мелкие коротконадкрылые жуки. Длина тела от 3,5 до 7,0 мм. Основная окраска рыжевато-коричневая[3].
Систематика
Более 100 видов в 11 видовых группах. Ранее виды Ischnosoma рассматривались в составе рода Mycetoporus или в качестве его подрода[2][4][5][6].
- Ischnosoma abstrusum Kocian & Schülke, 2016 (Китай)
- Ischnosoma acutum Assing & Schülke, 2017 (Грузия: Svaneti, Racha)
- Ischnosoma barbigerum Assing & Schülke, 2017 (Грузия: Svaneti)
- Ischnosoma bergrothi (Hellén, 1925)
- Ischnosoma biplagiatum (Fairmaire, 1860)
- Ischnosoma campbelli Kocian, 1997 (Россия, Грузия)[5]
- Ischnosoma caucasicum Kocian, 1997 (Россия, Грузия)[5]
- Ischnosoma corsicum Kocian, 1997
- Ischnosoma foedum Kocian & Schülke, 2016 (Китай)
- Ischnosoma gemellum Kocian & Schülke, 2016 (Китай)
- Ischnosoma involutum Kocian & Schülke, 2016 (Китай)
- Ischnosoma kociani Schülke, 1998
- Ischnosoma loebli Kocian, 1997
- Ischnosoma longicorne (Mäklin, 1847)
- Ischnosoma ludwigi (Reitter, 1909)
- Ischnosoma major (Luze, 1901)
- Ischnosoma molle Assing & Schülke, 2017 (Грузия: Adjara)
- Ischnosoma monilicorne (Wollaston, 1864)
- Ischnosoma solodovnikovi Schülke, 2001[7]
- Ischnosoma spelaeum (Scriba, 1870)
- Ischnosoma splendidum (Gravenhorst, 1806)typus
- Ischnosoma vicinum Kocian & Schülke, 2016 (Китай)
- Ischnosoma winkleri (Bernhauer, 1915)
- Ischnosoma yunnanum Kocian & Schülke, 2016 (Китай)
- Ischnosoma zipapertum Kocian & Schülke, 2016 (Китай)
- другие виды
Примечания
- ↑ BioLib Архивная копия от 22 сентября 2019 на Wayback Machine Taxon profile — genus Ischnosoma
- 1 2 Volker Assing and Michael Schülke. 2017. On the Ischnosoma fauna of Georgia (Coleoptera: Staphylinidae: Tachyporinae) Архивная копия от 22 января 2018 на Wayback Machine. Beitr. zur Entomol. Senckenberg. 67(2):195—206.
- 1 2 Kocian, M. 2003: Monograph of the world species of the genus Ischnosoma (Coleoptera: Staphylinidae) Архивная копия от 10 июня 2016 на Wayback Machine. — Acta Universitatis Carolinae Biologica 47: 3—153.
- ↑ Herman, L. H. 2001. Catalog of the Staphylinidae (Insecta, Coleoptera): 1758 to the end of the second millennium. I. Introduction, history, biographical sketches, and omaliine group. Bulletin of the American Museum of Natural History, (265): 1—650.
- 1 2 3 Kocian, M. 1997: A revision of Western Palearctic species of the genus Ischnosoma Stephens (Coleoptera, Staphylinidae: Tachyporinae) Архивная копия от 22 января 2018 на Wayback Machine. — Acta Universitatis Carolinae Biologica 40(1996): 241—299.
- ↑ Kocian, M. & Schülke, M. 2016: New species and records of Ischnosoma Stephens (Coleoptera, Staphylinidae, Tachyporinae) from China Архивная копия от 13 марта 2017 на Wayback Machine. — Zootaxa 4105(3): 201—242. — http://www.mapress.com/j/zt/article/view/zootaxa.4105.3.1/0 Архивная копия от 22 января 2018 на Wayback Machine
- ↑ Schülke, M. 2001: Eine neue Art und neue Funde von Arten der Gattung Ischnosoma Stephens, 1829 (Insecta: Coleoptera: Staphylinidae: Tachyporinae). — Reichenbachia, Staatliches Museum für Tierkunde Dresden 34(15): 127—135.
Литература
- Kocian, M. 1997: A revision of Western Palearctic species of the genus Ischnosoma Stephens (Coleoptera, Staphylinidae: Tachyporinae). — Acta Universitatis Carolinae Biologica 40(1996): 241—299.
- Kocian, M. 2003: Monograph of the world species of the genus Ischnosoma (Coleoptera: Staphylinidae). — Acta Universitatis Carolinae Biologica 47: 3—153.
- Schülke, M. 2003: Eine neue Art und neue Funde von Arten der Ischnosoma spelaeum-Gruppe aus Anatolien (Coleoptera, Staphylinidae, Tachyporinae). — Linzer Biologische Beiträge 35(1): 453—460.- http://www.zobodat.at/pdf/LBB_0035_1_0453-0460.pdf[accessed 2017/11/07].
- Schülke, M. 2007: On the Turkish species of the genus Ischnosoma (Insecta: Coleoptera: Staphylinidae: Tachyporinae). — Entomological Problems 37(1—2): 21—30.
.png)