Falagriini
| Falagriini | ||||||||
|---|---|---|---|---|---|---|---|---|
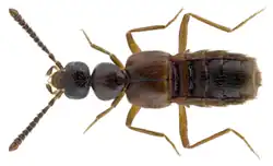
![]() Falagrioma thoracica | ||||||||
| Научная классификация | ||||||||
|
Домен: Царство: Подцарство: Без ранга: Без ранга: Без ранга: Без ранга: Тип: Подтип: Надкласс: Класс: Подкласс: Инфракласс: Надотряд: Отряд: Подотряд: Инфраотряд: Надсемейство: Семейство: Подсемейство: Триба: Falagriini |
||||||||
| Международное научное название | ||||||||
| Falagriini Mulsant & Rey, 1873 | ||||||||
| Типовой род | ||||||||
|
Falagria Leach, 1819 |
||||||||
| ||||||||
.png)
.jpg)
Falagriini (лат.) — триба коротконадкрылых жуков из подсемейства Aleocharinae. Включает около 30 родов и более 470 видов. Встречаются повсеместно. Свободноживущие хищники, некоторые прибрежные, а некоторые мирмекофилы или термитофилы.
Описание
Представителей Falagriini можно узнать по следующей комбинации признаков: формула лапок 4-5-5 (4-4-5 у Bryobiota); голова с хорошо выраженной шеей, шея узкая, менее 1/2 ширины головы; переднеспинка сужена в основании, со слабой или очень сильной медиальной продольной бороздой; простернум обычно удлинен за прококсами, часто простирается латерально до гипомеры пронотума. Перитремы присутствуют вокруг мезостернальных спиралей, размер перитрем варьирует от очень маленького и лишь узко окружающего спирали, до очень крупных и заметных, но не сливающихся по средней линии, до очень крупный и слитный по средней линии[1].
Свободноживущие хищники, некоторые прибрежные, а некоторые мирмекофилы или термитофилы[1].
Распространение
Встречаются повсеместно[1].
Систематика
Включает около 30 родов и более 470 видов. Триба Falagriini филогенетически близка к трибе Sceptobiini[1].
Триба включена в крупнейшую кладу алеохариновых триб APL (Athetini — Pygostenini — Lomechusini clade), в которой 22 трибы и 8990 видов[1].
- Akrincastiba Pace, 2001
- Aleodorus Say, 1833
- Amechanopora Pace, 2004
- Ameipseusa Pace, 2003
- Anaulacaspis Ganglbauer, 1895
- Anaulacaspis nigra (Gravenhorst, 1802)
- Bohemiellina Machulka, 1941
- Borboropora Kraatz, 1862
- Borneopora Pace, 2002
- Bryobiota Casey, 1893
- Cordalia Jacobs, 1925
- Cordalia obscura (Gravenhorst, 1802)
- Drepanopora Bernhauer, 1908
- Eccoptoglossa Luze, 1904
- Euphorbagria Assing, 1997
- Falagria Leach, 1819
- Falagrioma Casey, 1906
- Falagrioma thoracica (Stephens, 1832)
- Falagriota Casey, 1906
- Galafria Cameron, 1945
- Guajira Bierig, 1938
- Himalagria Assing, 2005
- Indomyrmecopora Assing, 1997
- Kompsatele Pace, 2015
- Leptagria Casey, 1906
- Lissagria Casey, 1906
- Lophagria Casey, 1906
- Myrmecocephalus MacLeay, 1873
- Myrmecopora Saulcy, 1865
- Myrmecopora sulcata (Kiesenwetter, 1850)
- Pheifalagria Kistner & Zimmerman, 1986
- Pheigetoxenus Kistner, 1983
- Plesiosipalia Bernhauer, 1943
- Sabahopora Pace, 2015
- Scytoglossa Luze, 1904
- Termitolara Bernhauer, 1927
- Tropidera Bernhauer, 1908
Примечания
- 1 2 3 4 5 Orlov I., Newton A. F., Solodovnikov A.. Phylogenetic review of the tribal system of Aleocharinae, a mega- lineage of terrestrial arthropods in need of reclassification (англ.) // Journal of Zoological Systematics and Evolutionary Research. — Wiley and Hindawi, 2021. — Vol. 59. — P. 1903—1938 (1—36). — ISSN 1439-0469. — doi:10.1111/jzs.12524. November 2021
Литература
- Seevers, C. H. The systematics, evolution and zoogeography of staphylinid beetles associated with army ants (Coleoptera, Staphylinidae) // Fieldiana: Zoology. — 1965. — Vol. 47, № 2. — P. 139—351.
- Seevers C. H. A generic and tribal revision of the North American Aleocharinae (Coleoptera: Staphylinidae) // Fieldiana: Zoology. — 1978. — Vol. 71. — P. 1—289. — ISSN 0015-0754.
_Syn.-_Falagria_thoracica_Curtis%252C_1833_(13224875844).png)