Жуки-скакуны
| Жуки-скакуны | ||||||||||
|---|---|---|---|---|---|---|---|---|---|---|
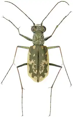
![]() Cicindela marginata | ||||||||||
| Научная классификация | ||||||||||
|
Домен: Царство: Подцарство: Без ранга: Без ранга: Без ранга: Без ранга: Тип: Подтип: Надкласс: Класс: Подкласс: Инфракласс: Надотряд: Отряд: Подотряд: Надсемейство: Семейство: Подсемейство: Скакуны |
||||||||||
| Международное научное название | ||||||||||
| Cicindelinae Latreille, 1802 | ||||||||||
| Трибы | ||||||||||
|
||||||||||
| ||||||||||
Жуки́-скакуны́ (лат. Cicindelinae) — подсемейство жуков-жужелиц. Название связано со способностью этих жуков к быстрому бегу. По соотношению скорости, иногда превышающей 2 м/с, и размеров тела (обычно 1—2 см) эти насекомые оказываются самыми быстрыми наземными животными[1]. Некоторые виды полезны для сельского хозяйства как хищники, контролирующие численность вредителей[2].
Распространение
Скакуны распространены повсеместно, за исключением о. Тасмания, Антарктики и некоторых островов в мировом океане[3]. В России из трибы Cicindelini встречаются 6 родов и 39 видов, а именно роды Calomera, Cephalota, Chaetodera, Cicindela, Cylindera и Myriochila[4]. На Дальнем Востоке обитает 10 видов скакунов и на Сахалине 5 видов[5]. В Северной Америке обитают 109 видов,[6] из них в США обитают 97 видов[7].
Характеристика
В Северной Америке самым большим скакуном является вид Amblycheila cylindriformis[8] длиной 29—35 мм[9]. Крупнейшие представители группы — род Мантикоры, распространенный в Африке, с длиной тела до 7 см.
Взрослая особь

Скакуны имеют большие глаза, длинные, стройные ноги и изогнутые мандибулы[2]. Голова шире переднеспинки[10]. Они являются хищниками и во взрослой и в личиночной формах. Обычно встречаются особи размером от 1 до 2 см, но бывают и виды размером в 5 см[2]. Усики 11-члениковые[3]. Мандибулы серповидные, длинные, плоские, с двумя-тремя крупными зубцами на внутреннем крае[10]. Лапки тонкие (благодаря которым они быстро бегают), выпуклые большие глаза (глаза являются одной из главных признаков по которой диагностируют особь). Ярко окрашенные и имеют иридисцентный блеск. Надкрылья не имеют бороздок и точечных рядов, обычно с жёлтыми перевязями.[10].
Члены рода Cicindela — дневные жуки, а члены Tetracha, Omus, Amblycheila и Manticora — ночные. Cicindela и Tetracha имеют яркую окраску, а другие роды скакунов преимущественно чёрные. Жуки часто и очень хорошо используют крылья для полёта и, подобно мухе, улетают, почувствовав опасность[11]. Взрослые особи достигают 8—41 мм в длину[6].
Расчёты учёных показывают, что жук мог бы развивать 200—300 км/ч если бы он был размером с человека. Например, скакун полевой развивает скорость до 0,62 м/с или 2.25 км/ч[12]. Взрослые жуки встречаются как в дневное время, так и в ночное[3][13].
Их русское название «скакуны» и английское — «tiger beetle» (жуки-тигры, или тигровые жуки) отражают грациозность, проворность и отличное зрение жуков. Скакуны чутко реагируют на приближение человека. Почуяв человека, они резко взлетают и приземляются в нескольких метрах от него, затем оборачиваются и наблюдают за ним, пока тот не уйдёт[14]. Жуки имеют разнообразный яркий окрас, что делает их бабочками в мире жуков. Это привлекает коллекционеров жуков.[3][13] Часто можно наблюдать (например у вида скакуна-межняка), как два жука ходят вместе: самец, прицепившись между переднеспинкой и надкрыльями самки мандибулами, ездит на ней верхом[15].
Личинка

Личинки скакунов резко отличаются от личинок других жужелиц: голова лишь с четырьмя глазками на каждой стороне, пятый тергит брюшка с двумя крючками, церок нет[10]. Имеют большую голову и спинной горб. Наружные опорные отростки горба пятого брюшного сегмента длинные, серпообразно или немного S-образно, изогнутые, постепенно заостряющиеся к концу и выдвинуты вперёд и слегка вверх. Внутренние — направлены перпендикулярно спинной поверхности. Они короткие, с резким, и часто шипастым сужением у вершины[16]. Наружные, направленные вперёд опорные отростки пятого брюшного сегмента почти прямые, шиповидные, слегка загибающиеся во внутрь. Внутренне опорные отростки имеют схожую форму и также направлены вперёд. Проксимальная часть наружных отростков с двумя сильными щитниками. (Дагестан, Средняя Азия; Grammognatha euphratica)[16].
Экология и местообитания

Скакуны считаются хорошо показательными видами и изучается биоразнообразие в их экологии. Обычно они живут на песчаной земле в степях, пустынях, на песчаных карьерах и берегах, недавно вспаханной земле и на песчаных тропинках в лесу[17].
Некоторые тропические виды являются древесными, но большая часть ведет наземный образ жизни. Они живут на берегах моря или реки, на песчаных дюнах, в песчаных карьерах, глиняных пластах или лесных тропинках.
Личинки живут в цилиндрических норах, глубиной часто метр и более, где ближе к поверхности они ждут в засаде свою добычу[10].
Естественные враги
Хоть птицы, муравьи, осы и наносят вред жукам, их главными и злейшими врагами являются паразитоиды из отряда перепончатокрылых насекомых. Представители семейства тифиид (Tiphiidae), например, виды родов Methoca, Karlissa и Pterombus, специализируются на личинках скакунов. На их личинках паразитируют и личинки жужжал[3]. Взрослых жуков ловят и едят птицы, ящерицы и ктыри[12]. Methocha — род паразитических бескрылых ос, оставляющих яйца в личинках Cicindela dorsalis[18].
Питание
Встретить их можно в жаркий солнечный день, быстро бегающими по земле прерывистым бегом, то есть пробегают короткое расстояние останавливаются для того, чтобы осмотреться на присутствие добычи — мелких беспозвоночных, затем снова пробегают примерно такое же расстояние, но если добыча будет обнаружена, скакун немедленно догонит её. Излюбленной добычей для них являются муравьи. Поймав добычу, жук сдавливает своими челюстями её в массу в виде шарика[19]. Затем жук расщепляет жёсткие части тела добычи сильно воздействующими ферментами[13][19] (внекишечное пищеварение ещё не проглоченной пищи). Эти ферменты способны даже разъесть ткань сачка[19]. Изучить, какая пища более предпочтительна жуком, обследовав останки в желудке жука, как это делается у других хищных насекомых, практически нельзя из-за того, что пища сжижена внекишечным пищеварением[19].
Megacephala fuligida питается обыкновенными медведками, которых он обнаруживает за секунды в их местообитании на пляжах рек Южной Америки. Также Cicindela sexpunctata ценный помощник в защите от вредителей заливных рисовых полей, например, от той же самой медведки или комаров[12]. Многие виды также питаются муравьями[10].
Развитие
Самка откладывает яйца в почву в неглубокую камеру[12]. После вылупления личинки из яйца и её склеротизирования она начинает увеличивать камеру, в которой было отложено яйцо, в туннель. Личинка взрыхляет почву своими мандибулами, а потом своей головой и переднеспинкой выносит почву на поверхность. На поверхности личинка выбрасывает эту почву через свою голову и переднесинку[20]. Туннель личинка увеличивает после каждой линьки; перед линькой она закрывает свой туннель на входе[13]. Хоть большинство видов и роют туннели в почве, есть некоторые виды, такие как из родов Neocollyris и Ctenostoma, которые делают их в усыхающих или гниющих сучьях, либо в стоячей растительности. Глубина туннелей бывает разной — от 15 до 200 см, это зависит от возраста личинки, вида, сезона и субстрата[20].
Личинки S-образные, на верхней части брюшка имеются зубцы (на пятом сегменте), которые используются для того, чтобы можно было уцепиться и удержаться в их вертикальных норах. У речных видов личинки способны выжить при случае наводнения в течение длительного времени. Норы достигают от 20-25 см до 100 см глубиной. Самая глубокая нора зарегистрирована у вида Cicindela lepida, личинка которого вырыла нору 180 см глубиной[3][13].
Взрослые жуки большинства видов встречаются лишь на протяжении летнего времени. Личинки же попадаются с конца лета по осень, зиму личинка проводит в её последней личиночной стадии. В виде куколки — весной, для летних видов. Обычно личинки встречаются там же, где и их взрослые особи. Иногда личинок можно найти чуть дальше местообитания взрослых жуков (для большинства видов), в частности это относится к видам живущим на берегах морей[3][13].
Палеонтология
Древнейшие ископаемые скакуны найдены в раннемеловых отложениях Китая — †Cretotetracha grandis (подтриба Megacephalina)[21]. Также скакуны были обнаружены в раннемеловых отложениях Бразилии, откуда описан вид †Oxycheilopsis cretacicus (подтриба Oxycheilina, Бразилия)[22], и в эоценовом ровенском янтаре (†Goriresina fungifora, подтриба Iresiina)[23].
Систематика


Первоначально скакуны были семейством Cicindelidae, но сейчас многие исследователи представляют его подсемейством Cicindelinae семейства Carabidae. Совсем недавно некоторые авторы пытались вписать его в подсемейство Carabinae в качестве трибы, но не получили поддержки в этом со стороны коллег.
К подсемейству относят 2 100 видов. Номинативным родом является Cicindela[11], а также этот род содержит в себе наибольшее количество видов семейства[12]. Очень много видов было описано немецким энтомологом Вальтером Германом Рихардом Хорном.
В 2020 году на основании большого набора таксонов и большого количества генетических локусов был снова обоснован статус семейства Cicindelidae, сестринского к жужелицам или к кладе Trachypachidae + Carabidae. Подсемейство Collyrinae не подтверждается никакими современными данными и в составе Cicindelidae признаётся шесть триб: Manticorini Laporte, Megacephalini Laporte, Collyridini Brullé, Ctenostomatini Laporte, Cicindelini Latreille и восстанавливается Oxycheilini Chaudoir[24].
Классификация
- триба Cicindelini Latreille, 1802
- подтриба Cicindelina Latreille, 1802
- Abroscelis Hope, 1838
- Antennaria Dokhtouroff, 1883
- Apteroessa Hope, 1838
- Archidela Rivalier, 1963
- Bennigsenium W. Horn, 1897
- Brasiella Rivalier, 1954
- Callytron Gistl, 1848
- Calomera Motschulsky, 1862
- Cephalota Dokhtouroff, 1883
- Chaetodera Jeannel, 1946
- Cicindela Linnaeus, 1758
- Cratohaerea Chaudoir, 1850
- Cylindera Westwood, 1831
- Dromicoida Werner, 1995
- Dromochorus Guerin-Meneville, 1845
- Ellipsoptera Dokhtouroff, 1883
- Enantiola Rivalier, 1961
- Eunota Rivalier, 1954
- Eurymorpha Hope, 1838
- Euzona Rivalier, 1963
- Grandopronotalia W. Horn, 1936
- Guineica Rivalier, 1963
- Habrodera Motschulsky, 1862
- Habroscelimorpha Dokhtouroff, 1883
- Hypaetha Leconte, 1860
- Jansenia Chaudoir, 1865
- Leptognatha Rivalier, 1963
- Lophyra Motschulsky, 1859
- Macfarlandia Sumlin, 1981
- Manautea Deuve, 2006
- Micromentignatha Sumlin, 1981
- Microthylax Rivalier, 1954
- Myriochila Motschulsky, 1862
- Naviauxella Cassola, 1988
- Neocicindela Rivalier, 1963[26]
- Neolaphyra Bedel, 1895
- Notospira Rivalier, 1961
- Opilidia Rivalier, 1954
- Orthocindela Rivalier, 1972
- Oxycheilopsis Cassola & Werner, 2004
- Polyrhanis Rivalier, 1963
- Prothymidia Rivalier, 1957
- Rivacindela Nidek, 1973
- Salpingophora Rivalier, 1950
- Sumlinia Cassola & Werner, 2001
- Thopeutica Schaum, 1861
- подтриба Iresina Rivalier, 1971
- Diastrophella Rivalier, 1957
- Distipsidera Westwood, 1837
- Eucallia Guerin-Meneville, 1844
- Euprosopus Dejean, 1825
- Goriresina Matalin et al., 2021
- Iresia Dejean, 1831
- Langea W. Horn, 1901
- Megalomma Westwood, 1842
- Nickerlea W. Horn, 1899
- Rhysopleura Sloane, 1906
- Rhytidophaena Bates, 1891
- подтриба Oxychilina Chaudoir, 1860
- Cheiloxya Guerin-Meneville, 1855
- Oxycheila Dejean, 1825
- Pseudoxycheila Guerin-Meneville, 1839
- подтриба Prothymina W.Horn, 1906
- Baloghiella Mandl, 1981
- Caledonica Chaudoir, 1860
- Caledonomorpha W. Horn, 1897
- Calyptoglossa Jeannel, 1946
- Cenothyla Rivalier, 1969
- Cheilonycha Lacordaire, 1843
- Darlingtonica Cassola, 1986
- Dilatotarsa Dokhtouroff, 1882
- Dromica Dejean, 1826
- Euryarthron Guerin-Meneville, 1849
- Heptodonta Hope, 1838
- Neochila Basilewsky, 1953
- Odontocheila Laporte, 1834
- Opisthencentrus W. Horn, 1893
- Oxygonia Mannerheim, 1837
- Oxygoniola W. Horn, 1892
- Paraphysodeutera J. Moravec, 2002
- Pentacomia Bates, 1872
- Peridexia Chaudoir, 1860
- Phyllodroma Lacordaire, 1843
- Physodeutera Lacordaire, 1843
- Pometon Fleutiaux, 1899
- Prepusa Chaudoir, 1850
- Probstia Cassola, 2002
- Pronyssa Bates, 1874
- Pronyssiformia W. Horn, 1929
- Prothyma Hope, 1838
- Ronhuberia J. Moravec & Kudrna, 2002
- Socotrana Cassola & Wranik, 1998
- Stenocosmia Rivalier, 1965
- Vata Fauvel, 1903
- Waltherhornia Olsoufieff, 1934
- подтриба Theratina W.Horn, 1893
- Therates Latreille, 1816
- подтриба Cicindelina Latreille, 1802
- триба Collyridini Brulle, 1834
- подтриба Collyridina Brulle, 1834
- Collyris Fabricius, 1801
- Neocollyris W. Horn, 1901
- Protocollyris Mandl, 1975
- подтриба Ctenostomina Ganglbauer, 1892
- Ctenostoma Klug, 1821
- Pogonostoma Klug, 1835
- подтриба Tricondylina Naviaux, 1991
- Derocrania Chaudoir, 1860
- Tricondyla Latreille, 1822
- подтриба Collyridina Brulle, 1834
- триба Manticorini Csiki, 1907
- Mantica Kolbe, 1896
- Manticora Fabricius, 1792
- триба Megacephalini Laporte, 1834
- подтриба Megacephalina Laporte, 1834
- Amblycheila Say, 1829
- Aniara Hope, 1838
- Megacephala Latreille, 1802
- Metriocheila Thomson, 1857
- Omus Eschscholtz, 1829
- Picnochile Motschulsky, 1856
- подтриба Platychilina W.Horn, 1908
- Platychile Macleay, 1825
- подтриба Megacephalina Laporte, 1834
Calomera aulica
Cicindela aurofasciata- Cicindela japonica
Cylindera viduata
Lophyra namibica
Eurymorpha cyanipes- Habrodera nilotica
Cicindela formosa
Заметки
- ↑ Cornell News, Jan. 16, 1998 When tiger beetles chase prey at high speeds they go blind temporarily, Cornell entomologists learn. Дата обращения: 1 июля 2009. Архивировано 13 декабря 2012 года.
- 1 2 3 Большая советская энциклопедия (недоступная ссылка): Скакуны
- 1 2 3 4 5 6 7 Steve Marshall Environmental Biology University of Guelph, Ontario Архивная копия от 8 октября 2009 на Wayback Machine Cicindelidae
- ↑ Жужелицы трибы Cicindelini (Carabidae): атлас видов фауны России. Дата обращения: 1 июля 2009. Архивировано 27 апреля 2009 года.
- ↑ Скакуны (Cicindelinae, Carabidae, Coleoptera) острова Сахалин. Дата обращения: 1 июля 2009. Архивировано из оригинала 19 июля 2008 года.
- 1 2 BugGuide Архивная копия от 26 июня 2009 на Wayback Machine Subfamily Cicindelinae — Tiger Beetles
- ↑ Tiger Beetles of the U.S.A. Архивная копия от 10 мая 2003 на Wayback Machine
- ↑ myrmecos.net Архивная копия от 29 июня 2010 на Wayback Machine Amblycheila cylindriformis — giant tiger beetle Carabidae New Mexico, USA
- ↑ BugGuide Архивная копия от 24 октября 2012 на Wayback Machine Species Amblycheila cylindriformis — Great Plains Giant Tiger Beetle
- 1 2 3 4 5 6 Лер П. А. 1 // Определитель насекомых Дальнего Востока. Жесткокрылые, или жуки. — Л.: «Наука», 1989. — Т. III. — С. 95. — 572 с.
- 1 2 The Free Dictionary By Farlex. Дата обращения: 1 июля 2009. Архивировано 22 ноября 2008 года.
- 1 2 3 4 5 This page was designed and written by MrGordonRamel(at)yahoo.com The Earth Life Web Архивная копия от 27 августа 2009 на Wayback Machine The Tiger Beetles (Cicindelidae)
- 1 2 3 4 5 6 University of Florida Institute of Food and Agricultural Sciences Архивная копия от 20 июня 2009 на Wayback Machine Featured Creatures
- ↑ Онлайн Энциклопедия «Кругосвет» — Наука и техника: Биология Архивная копия от 7 августа 2011 на Wayback Machine ЖЕСТКОКРЫЛЫЕ
- ↑ BugGuide Архивная копия от 3 июля 2010 на Wayback Machine Tribe Cicindelini — Flashy Tiger Beetles
- 1 2 Гиляров М. С. Определитель обитающих в почве личинок насекомых. — М.: «Наука», 1964. — С. 106–107. — 869 с. — 2700 экз.
- ↑ Ground Beetles of Ireland Архивная копия от 12 июня 2011 на Wayback Machine Cicindela campestris
- ↑ Department of Environmental Conservation. Дата обращения: 1 июля 2009. Архивировано 19 октября 2020 года.
- 1 2 3 4 David L. Pearson & Alfried P. Vogler. Tiger Beetles: The Evolution, Ecology, and Diversity of the Cicindelids. — Ithaca and London: Cornell University Press, 2001. — 333 с. — ISBN 0-8014-3882-9. — doi:10.1002/mmnz.20040800126.
- 1 2 David L. Pearson. Biology of Tiger Beetles (англ.) // Annual Reviev of Entomology : Журнал. — Pennsylvania State University, University Park, Pennsylvania: West Virginia University, 1988. — No. 33. — P. 123–147.
- ↑ Xiangdong Zhao, Xianye Zhao, Lei Chen, Bo Wang. The earliest tiger beetle from the Lower Cretaceous of China (Coleoptera: Cicindelinae) (англ.) // Cretaceous Research : Журнал. — Elsevier, 2019. — Vol. 94. — P. 147—151. — ISSN 0195-6671. — doi:10.1016/j.cretres.2018.10.019. Архивировано 22 июня 2020 года. (February 2019)
- ↑ Cassola F., Werner K. A fossil tiger beetle specimen from the Brazilian Mesozoic: Oxycheilopsis cretacicus n. gen., n. sp. (Coleoptera, Cicindelidae) (англ.) // Mitteilungen der Munchner Entomologischen Gesellschaft : Журнал. — 2004. — Vol. 94. — P. 75—81.
- ↑ Andrey V. Matalin, Evgeny E. Perkovsky, Dmitry V. Vasilenko. First record of tiger beetles (Coleoptera, Cicindelidae) from Rovno amber, with the description of a new genus and species (англ.) // Zootaxa. — 2021-08-05. — Vol. 5016, iss. 2. — P. 243–256. — ISSN 1175-5334. — doi:10.11646/zootaxa.5016.2.5. Архивировано 27 августа 2021 года.
- ↑ Daniel P. Duran, Harlan M. Gough. (2020). Validation of tiger beetles as distinct family (Coleoptera: Cicindelidae), review and reclassification of tribal relationships. Systematic Entomology https://doi.org/10.1111/syen.12440 ISSN:1365-3113 Royal Entomological Society.
- ↑ Cicindelinae Latreille, 1802. Carabidae of the World (29 апреля 2013). Дата обращения: 21 июня 2020. Архивировано 22 июня 2020 года.
- ↑ Larochelle, A., & Larivière, M.-C. (2013). Carabidae (Insecta: Coleoptera): synopsis of species, Cicindelinae to Trechinae (in part). Fauna of New Zealand, 69. https://doi.org/10.7931/J2/FNZ.69
Литература
- Tiger Beetles of Alberta: Killers on the Clay, Stalkers on the Sand by John Acorn. University of Alberta Press, 2001.
- David L. Pearson, C. Barry Knisley and Charles J. Kazilek. A Field Guide to the Tiger Beetles of the United States and Canada. — Oxford University Press, 2005 (first edition), 2015. — ISBN 0-1993-6716-7. — ISBN 978-0-19-936716-0.
- Jonathan G. Leonard & Ross T. Bell. Northeastern Tiger Beetle. A Feald Guide to Tiger Beetles of New England and Eastern Canada. — New England: CRC Press LLC, 1999. — Т. II. — С. 179. — ISBN 0-8493-1915-3.
- Moravec J. Tiger beetles of Madagascar 2. A monograph of the genus Physodeutera (Coleoptera: Cicindelidae) (англ.). — Nakladatelství Kabourek, Zlín, Czech Republic, 2002. — 290 p.
- Moravec J. Tiger beetles of Madagascar 1. A monograph of the genus Pogonostoma (Coleoptera: Cicindelidae) (англ.). — Nakladatelství Kabourek, Zlín, 2007. — 499 p.
- Moravec J. Tiger beetles of the Madagascan Region (Madagascar, Seychelles, Comoros, Mascarenes, and other islands). Taxonomic revision of the 17 genera occurring in the region (Coleoptera: Cicindelidae) (англ.). — Biosférická rezervace Dolní Morava, o.p.s., Lednice na Moravě, 2010. — 429 p.
- Moravec J. New or rare Madagascar tiger beetles 22. Some updates within the Madagascar-endemic genera Physodeutera Lacordaire and Pogonostoma Klug (англ.) // Acta Musei Moraviae, Scientiae biologicae. — 2021. — Vol. 106, no. 2. — P. 205–226.
- Moravec J., Trýzna M. New or rare Madagascar tiger beetles—24. Pogonostoma (Microgeniatum) signifemorale sp. nov. with revised key to species of the subgenus Microgeniatum Rivalier (Coleoptera: Cicindelidae) (англ.) // Zootaxa. — 2021. — Vol. 5081, no. 4. — P. 524–534. — doi:10.11646/zootaxa.5081.4.4.
Ссылки
- Cicindela Online
- https://web.archive.org/web/20060831202838/http://homepage3.nifty.com/trechinae/cicinw.htm (Japanese)
- Tiger Beetles of the U.S.A.
- Tiger Beetles of Papua Indonesia
- Tiger beetles of Florida on the UF / IFAS Featured Creatures Web site
- Жужелицы трибы Cicindelini (Carabidae): атлас видов фауны России
