Орсодакниды
| Орсодакниды | ||||||||||||
|---|---|---|---|---|---|---|---|---|---|---|---|---|
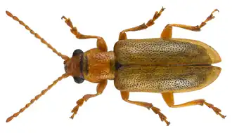
![]() Orsodacne cerasi | ||||||||||||
| Научная классификация | ||||||||||||
|
Домен: Царство: Подцарство: Без ранга: Без ранга: Без ранга: Без ранга: Тип: Подтип: Надкласс: Класс: Подкласс: Инфракласс: Надотряд: Отряд: Подотряд: Инфраотряд: Надсемейство: Семейство: Орсодакниды |
||||||||||||
| Международное научное название | ||||||||||||
| Orsodacnidae C.G.Thomson, 1859 | ||||||||||||
| Подсемейства | ||||||||||||
|
||||||||||||
| ||||||||||||
Орсодакниды[1] (лат. Orsodacnidae) — маленькое семейство жуков-листоедов, ранее рассматриваемое в качестве подсемейства в семействе жуков-листоедов. Образ жизни личинок неизвестен. Взрослые жуки длиной от 4 до 10 мм. Обитают в палеарктическом регионе. Известно 20 видов. Единственная находка семейства в ископаемом состоянии была сделана в нижнемеловых отложениях Бразилии[2].
Классификация
В семействе выделяют два подсемейства и три рода[3]:
- Подсемейство Aulacoscelidinae Chapuis, 1874
- Aulacoscelis Duponchel & Chevrolat in d'Orbigny, 1842
- Janbechynea Monrós, 1953
- Подсемейство Orsodacninae Thomson, 1859
- Orsodacne Latreille, 1802
Примечания
- ↑ Просвиров А. С. Атлас жуков средней полосы России. — М.: Фитон-XXI, 2019. — С. 226. — 272 с. — ISBN 978-5-906811-64-6.
- ↑ Legalov A. A. First record of orsodacnid leaf beetle (Coleoptera: Orsodacnidae) from the Lower Cretaceous of Brazil // Historical Biology. — 2021. — Т. 0, вып. 0. — С. 1–5. — ISSN 0891-2963. — doi:10.1080/08912963.2021.1929204.
- ↑ Ondrej Zicha. Orsodacnidae Thomson, 1859. www.biolib.cz. Дата обращения: 1 февраля 2023. Архивировано 1 февраля 2023 года.
_(4669945038).png)