Кожеед скрюченный
| Кожеед скрюченный | ||||||||||
|---|---|---|---|---|---|---|---|---|---|---|
![]() Самка | ||||||||||
| Научная классификация | ||||||||||
|
Домен: Царство: Подцарство: Без ранга: Без ранга: Без ранга: Без ранга: Тип: Подтип: Надкласс: Класс: Подкласс: Инфракласс: Надотряд: Отряд: Подотряд: Инфраотряд: Надсемейство: Семейство: Подсемейство: Trinodinae Триба: Thylodriini Род: Thylodrias Motschulsky, 1839 Вид: Кожеед скрюченный |
||||||||||
| Международное научное название | ||||||||||
| Thylodrias contractus Motschulsky, 1839 | ||||||||||
| ||||||||||
Кожеед скрюченный[1] (лат. Thylodrias contractus) — вид жесткокрылых насекомых семейства кожеедов. Единственный представитель рода Thylodrias Motschulsky, 1839.
Описание
.png)
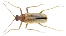
Усики нитевидные. Брюшко с семью стернитами. Самец кантароидного облика, Надкрылья на вершине расходящиеся. Самка крупнее самца, напоминают личинок, без надкрылий и крыльев. Лоб с глазком[2][3]. Жизненный цикл от 6,5 до 46 месяцев[4].
Распространение
Родиной является Азия, расселился по всему миру[3]. Известен из Евразии, Африки, Австралии, Южной и Северной Америке[5].
Примечания
- ↑ Тоскина И. Н., Проворова И. Н. Насекомые в музеях: Биология. Профилактика заражения. Меры борьбы. — М.: Товарищество научных изданий КМК, 2007. — С. 188. — 235 с. — ISBN 978-5-04-070598-6.
- ↑ Определитель насекомых Дальнего Востока СССР. Т. III. Жесткокрылые, или жуки. Ч. 2 / под общ. ред. П. А. Лера. — Л.: Наука, 1992. — С. 48—61. — 704 с. — 1400 экз. — ISBN 5-02-025623-4.
- 1 2 Thyllodrias contractus (англ.). uk beetles. Дата обращения: 15 апреля 2023. Архивировано 15 апреля 2023 года.
- ↑ Mertins J. W. Life History and Morphology of the Odd Beetle, Thylodrias contractus12 (англ.) // Annals of the Entomological Society of America. — 1981-11-15. — Vol. 74, iss. 6. — P. 576–581. — ISSN 0013-8746 1938-2901, 0013-8746. — doi:10.1093/aesa/74.6.576. Архивировано 3 марта 2022 года.
- ↑ Catalogue of Palaearctic Coleoptera. Vol. 4. / Lobl, I. & Lobl, D. (Eds.). — Leiden and Boston: Brill, 2007. — С. 309. — 935 с. — ISBN 87-88757-67-6.
_female.png)