Джон (ураган, 1994)

Ураган / тайфун «Джон»
Тайфун (JMA)
Ураган 5 категории (SSHS)
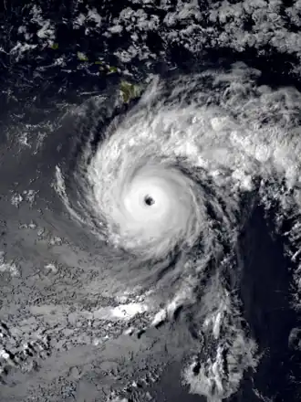
Ураган «Джон» в момент максимальной интенсивности южнее Гавайских островов 23 августа
Ураган «Джон» в момент максимальной интенсивности
южнее Гавайских островов 23 августа
Сформировался 11 августа 1994
Распался 10 сентября 1994
Максимальный ветер 155 км/ч (100 миль/ч)
(10 минут постоянно)
280 км/ч (175 миль/ч)
(1 минута постоянно)
Нижнее давление ≤929 гПа (мбар)
Погибших нет
Ущерб $15 млн (1994 USD)
Область распространения
Гавайские острова, атолл Джонстон
Логотип Викисклада Медиафайлы на Викискладе

Ураган «Джон» (англ. Hurricane John) или тайфун «Джон» (англ. Typhoon John, международное обозначение: 9420, обозначение JTWC: 10E) — тропический циклон, сформировавшийся в 1994 году и ставший самым долгоживущим тропическим циклоном, а также тропическим циклоном, который прошёл наибольшее расстояние за время своей жизни за всю историю наблюдений. Этот тропический циклон сформировался во время сильной осцилляции Эль-Ниньо 19911994 годов и достиг 5 категории по шкале Саффира — Симпсона.

Путь этого тропического циклона составил 13 280 км и протянулся с востока Тихого океана до запада Тихого океана, и был пройден за 31 день[1]. Поскольку Джон существовал в двух бассейнах, он является одним из немногих тропических циклонов, которые называются как ураганом, так и тайфуном. За долгое время своей жизни Джон практически не встретил суши, оказав лишь незначительной эффект на Гавайские острова и атолл Джонстон.

Примечания

  1. Lawrence, Miles. Hurricane John Preliminary Report (page 1). NOAA (1995). Дата обращения: 22 мая 2006. Архивировано 23 сентября 2012 года.

Ссылки