Hawaiian Islands
Native name: Nā Mokupuni Hawaiʻi | |
|---|---|
![]() The Windward Islands of Hawaii | |
![]() | |
| Geography | |
| Location | North Pacific Ocean |
| Coordinates | 20°54′N 156°36′W / 20.900°N 156.600°W |
| Total islands | 137 |
| Highest point |
|
| Administration | |
| State | Hawaii |
| Unincorporated unorganized territory | Midway Atoll |
| Largest settlement | Honolulu |
The Hawaiian Islands (Hawaiian: Mokupuni Hawaiʻi) are an archipelago of eight major volcanic islands, several atolls, and numerous smaller islets in the North Pacific Ocean, extending some 1,500 miles (2,400 kilometers) from the island of Hawaiʻi in the south to northernmost Kure Atoll. Formerly called the Sandwich Islands[a] by Europeans, the present name for the archipelago is derived from the name of its largest island, Hawaiʻi.
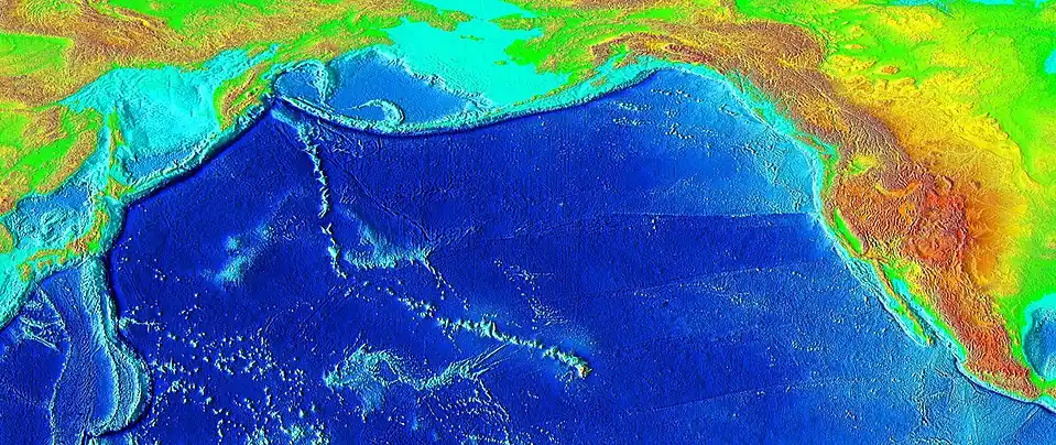
The archipelago sits on the Pacific Plate. The islands are exposed peaks of a great undersea mountain range known as the Hawaiian–Emperor seamount chain, formed by volcanic activity over the Hawaiian hotspot. The islands are about 1,860 miles (3,000 km) from the nearest continent and are part of the Polynesia subregion of Oceania.
The U.S. state of Hawaii occupies the archipelago almost in its entirety (including the mostly uninhabited Northwestern Hawaiian Islands), with the sole exception of Midway Atoll (a United States Minor Outlying Island). Hawaii is the only U.S. state that is situated entirely on an archipelago, and the only state not geographically connected with North America. The Northwestern islands (sometimes called the Leeward Islands) and surrounding seas are protected as a national monument and World Heritage Site.
Islands and reefs
The Hawaiian Islands have a total land area of 6,423.4 square miles (16,636.5 km2). Except for Midway, which is an unincorporated unorganized territory of the United States, these islands and islets are administered as Hawaii—the 50th state of the United States.[1]
Major islands
| Island | Nickname | Area | Population (as of 2020) |
Density | Highest point | Maximum elevation | Age (Ma)[2] | Location |
|---|---|---|---|---|---|---|---|---|
| Hawaiʻi[3] | The Big Island | 4,028.0 sq mi (10,432.5 km2) | 200,629 | 49.8/sq mi (19.2/km2) | Mauna Kea | 13,796 ft (4,205 m) | 0.4 | 19°34′N 155°30′W / 19.567°N 155.500°W |
| Maui[4] | The Valley Isle | 727.2 sq mi (1,883.4 km2) | 164,221 | 225.8/sq mi (87.2/km2) | Haleakalā | 10,023 ft (3,055 m) | 1.3–0.8 | 20°48′N 156°20′W / 20.800°N 156.333°W |
| Oʻahu[5] | The Gathering Place | 596.7 sq mi (1,545.4 km2) | 1,016,508 | 1,703.5/sq mi (657.7/km2) | Mount Kaʻala | 4,003 ft (1,220 m) | 3.7–2.6 | 21°28′N 157°59′W / 21.467°N 157.983°W |
| Kauaʻi[6] | The Garden Isle | 552.3 sq mi (1,430.5 km2) | 73,298 | 132.7/sq mi (51.2/km2) | Kawaikini | 5,243 ft (1,598 m) | 5.1 | 22°05′N 159°30′W / 22.083°N 159.500°W |
| Molokaʻi[7] | The Friendly Isle | 260.0 sq mi (673.4 km2) | 7,345 | 28.3/sq mi (10.9/km2) | Kamakou | 4,961 ft (1,512 m) | 1.9–1.8 | 21°08′N 157°02′W / 21.133°N 157.033°W |
| Lānaʻi[8] | The Pineapple Isle | 140.5 sq mi (363.9 km2) | 3,367 | 24.0/sq mi (9.3/km2) | Lānaʻihale | 3,366 ft (1,026 m) | 1.3 | 20°50′N 156°56′W / 20.833°N 156.933°W |
| Niʻihau[9] | The Forbidden Isle | 69.5 sq mi (180.0 km2) | 84 | 1.2/sq mi (0.5/km2) | Mount Pānīʻau | 1,250 ft (381 m) | 4.9 | 21°54′N 160°10′W / 21.900°N 160.167°W |
| Kahoʻolawe[10] | The Target Isle | 44.6 sq mi (115.5 km2) | 0 | 0/sq mi (0/km2) | Puʻu Moaulanui | 1,483 ft (452 m) | 1.0 | 20°33′N 156°36′W / 20.550°N 156.600°W |
The eight major islands of Hawaii (Windward Islands) are listed above. All islands except Kaho'olawe are inhabited.
Minor islands, islets



The state of Hawaii counts 137 "islands" in the Hawaiian Chain.[12] This number includes all minor islands (small islands), islets (even smaller islands) offshore of the major islands (listed above), and individual islets in each atoll. These are just a few:
- Kaʻula
- Kāohikaipu
- Lehua
- Mānana
- Mōkōlea Rock
- Mokoliʻi
- Moku Manu
- Mokuauia
- Moku o Loʻe
- Moku Ola
- Mokuʻumeʻume
- Molokini
- Nā Mokulua
Partial islands, atolls, reefs

Partial islands, atolls, reefs—those west of Niʻihau are uninhabited except Midway Atoll—form the Northwestern Hawaiian Islands (Leeward Islands):
- Nīhoa (Mokumana)
- Necker (Mokumanamana)
- French Frigate Shoals (Kānemilohaʻi)
- Gardner Pinnacles (Pūhāhonu)
- Maro Reef (Nalukākala)
- Laysan (Kauō)
- Lisianski Island (Papaʻāpoho)
- Pearl and Hermes Atoll (Holoikauaua)
- Midway Atoll (Pihemanu)
- Kure Atoll (Mokupāpapa)
Geology

This chain of islands, or archipelago, developed as the Pacific Plate slowly moved northwestward over a hotspot in the Earth's mantle at a rate of approximately 32 miles (51 km) per million years. Thus, the southeast island is volcanically active, whereas the islands on the northwest end of the archipelago are older and typically smaller, due to longer exposure to erosion. The age of the archipelago has been estimated using potassium-argon dating methods.[13] From this study and others,[14][15] it is estimated that the northwesternmost island, Kure Atoll, is the oldest at approximately 28 million years (Ma); while the southeasternmost island, Hawaiʻi, is approximately 0.4 Ma (400,000 years). The only active volcanism in the last 200 years has been on the southeastern island, Hawaiʻi, and on the submerged but growing volcano to the extreme southeast, Kamaʻehuakanaloa (formerly Loʻihi). The Hawaiian Volcano Observatory of the USGS documents recent volcanic activity and provides images and interpretations of the volcanism. Kīlauea had been erupting nearly continuously since 1983 when it stopped August 2018.
Almost all of the magma of the hotspot has the composition of basalt, and so the Hawaiian volcanoes are composed almost entirely of this igneous rock. There is very little coarser-grained gabbro and diabase. Nephelinite is exposed on the islands but is extremely rare. The majority of eruptions in Hawaiʻi are Hawaiian-type eruptions because basaltic magma is relatively fluid compared with magmas typically involved in more explosive eruptions, such as the andesitic magmas that produce some of the spectacular and dangerous eruptions around the margins of the Pacific basin.
Hawaiʻi island (the Big Island) is the biggest and youngest island in the chain, built from five volcanoes. Mauna Loa, taking up over half of the Big Island, is the largest shield volcano on the Earth. The measurement from sea level to summit is more than 2.5 miles (4 km), from sea level to sea floor about 3.1 miles (5 km).[16]
Earthquakes
The Hawaiian Islands have many earthquakes, generally triggered by and related to volcanic activity. Seismic activity, as a result, is currently highest in the southern part of the chain. Both historical and modern earthquake databases have correlated higher magnitude earthquakes with flanks of active volcanoes, such as Mauna Loa and Kilauea. The combination of erosional forces, which cause slumping and landslides, with the pressure exerted by rising magma put a great amount of stress on the volcanic flanks. The stress is released when the slope fails, or slips, causing an earthquake. This type of seismicity is unique because the forces driving the system are not always consistent over time, since rates of volcanic activity fluctuate. Seismic hazard near active, seaward volcanic flanks is high, partially because of the especially unpredictable nature of the forces that trigger earthquakes, and partially because these events occur at relatively shallow depths. Flank earthquakes typically occur at depths ranging from 5 to 20 km, increasing the hazard to local infrastructure and communities.[17] Earthquakes and landslides on the island chain have also been known to cause tsunamis.
Most of the early earthquake monitoring took place in Hilo, by missionaries Titus Coan and Sarah J. Lyman and her family. Between 1833 and 1896, approximately 4 or 5 earthquakes were reported per year.[18] Today, earthquakes are monitored by the Hawaiian Volcano Observatory run by the USGS.
Hawaii accounted for 7.3% of the United States' reported earthquakes with a magnitude 3.5 or greater from 1974 to 2003, with a total 1533 earthquakes. Hawaii ranked as the state with the third most earthquakes over this time period, after Alaska and California.[19]
On October 15, 2006, there was an earthquake with a magnitude of 6.7 off the northwest coast of the island of Hawaii, near the Kona area. The initial earthquake was followed approximately five minutes later by a magnitude 5.7 aftershock. Minor to moderate damage was reported on most of the Big Island. Several major roadways became impassable from rock slides, and effects were felt as far away as Honolulu, Oahu, nearly 150 miles (240 km) from the epicenter. Power outages lasted for several hours to days. Several water mains ruptured. No deaths or life-threatening injuries were reported.
On May 4, 2018, there was a 6.9 earthquake in the zone of volcanic activity from Kīlauea.
Earthquakes are monitored by the Hawaiian Volcano Observatory run by the USGS.
Tsunamis

The Hawaiian Islands are subject to tsunamis, great waves that strike the shore. Tsunamis are most often caused by earthquakes somewhere in the Pacific. The waves produced by the earthquakes travel at speeds of 400–500 miles per hour (600–800 km/h) and can affect coastal regions thousands of miles (kilometers) away.
Tsunamis may also originate from the Hawaiian Islands. Explosive volcanic activity can cause tsunamis. The island of Molokaʻi had a catastrophic collapse or debris avalanche over a million years ago; this underwater landslide likely caused tsunamis. The Hilina Slump on the island of Hawaiʻi is another potential place for a large landslide and resulting tsunami.
The city of Hilo on the Big Island has been most affected by tsunamis, where the in-rushing water is accentuated by the shape of Hilo Bay. Coastal cities have tsunami warning sirens.
A tsunami resulting from an earthquake in Chile hit the islands on February 27, 2010. It was relatively minor, but local emergency management officials utilized the latest technology and ordered evacuations in preparation for a possible major event. The Governor declared it a "good drill" for the next major event.
A tsunami resulting from an earthquake in Japan hit the islands on March 11, 2011. It was relatively minor, but local officials ordered evacuations in preparation for a possible major event. The tsunami caused about $30.1 million in damages.[20]
Volcanoes

Only the two Hawaiian islands furthest to the southeast have active volcanoes: Haleakalā on Maui, and Mauna Loa, Mauna Kea, Kilauea, and Hualalai, all on the Big Island. The volcanoes on the remaining islands are extinct as they are no longer over the Hawaii hotspot. The Kamaʻehuakanaloa Seamount is an active submarine volcano that is expected to become the newest Hawaiian island when it rises above the ocean's surface in 10,000–100,000 years.[21] Hazards from these volcanoes include lava flows that can destroy and bury the surrounding surface, volcanic gas emissions, earthquakes and tsunamis listed above, submarine eruptions affecting the ocean, and the possibility of an explosive eruption.[22]

History
Hawaii was first discovered and settled by explorers from Tahiti or the Marquesas Islands. The date of the first settlements is the subject of continued debate.[23] Kirch's textbooks on Hawaiian archeology date the first Polynesian settlements to about 300 C.E., although his more recent estimates are as late as 600.[23] More recent surveys of carbon-dating evidence put the arrival of the first settlers at around 940–1130 C.E.[24]
The first recorded and sustained contact with Europeans occurred by chance when British explorer James Cook sighted the islands in January 1778 during his third voyage of exploration. Aided by European military technology, Kamehameha I conquered and unified the islands for the first time, establishing the Kingdom of Hawaii in 1795. The kingdom became prosperous and important for its agriculture and strategic location in the Pacific.
American immigration, led by Protestant missionaries, and Native Hawaiian emigration, mostly on whaling ships but also in high numbers as indentured servants and as forced labor, began almost immediately after Cook's arrival. Americans established plantations to grow crops for export. Their farming methods required substantial labor. Waves of permanent immigrants came from Japan, China, and the Philippines to labor in the cane and pineapple fields. The government of Japan organized and gave special protection to its people, who comprised about 25 percent of the Hawaiian population by 1896. The Hawaiian monarchy encouraged this multi-ethnic society, initially establishing a constitutional monarchy in 1840 that promised equal voting rights regardless of race, gender, or wealth.
The population of Native Hawaiians declined precipitously from an unknown number prior to 1778 (estimated to be around 300,000). It fell to around 142,000 in the 1820s based on a census conducted by American missionaries, 82,203 in the 1850 Hawaiian Kingdom census, 40,622 in the final Hawaiian Kingdom census of 1890, 39,504 in the sole census by the Republic of Hawaii in 1896, and 37,656 in the first census conducted by the United States in 1900. Thereafter the Native Hawaiian population in Hawaii increased with every census, reaching 680,442 in 2020 (including people of mixed heritage).
In 1893 Queen Liliʻuokalani was illegally deposed and placed under house arrest by businessmen (who included members of the Dole family) with help from the U.S. Marines. The Republic of Hawaii governed for a short time until Hawaii was annexed by the United States in 1898 as the Territory of Hawaii. In 1959, the islands became the 50th American state.
Ecology
The islands are home to a multitude of endemic species. Since human settlement, first by Polynesians, non native trees, plants, and animals were introduced. These included species such as rats and pigs, that have preyed on native birds and invertebrates that initially evolved in the absence of such predators. The growing population of humans, especially through European and American colonization and development, has also led to deforestation, forest degradation, treeless grasslands, and environmental degradation.[25] As a result, many species which depended on forest habitats and food became extinct—with many current species facing extinction. As humans cleared land for farming with the importation of industrialized farming practices through European and American encroachment, monocultural crop production replaced multi-species systems.[25]
_Hosmer_Grove%252C_Haleakala_Nat_Park%252C_Maui_co%252C_Hawaii_-01_(41106135465).jpg)
The arrival of the Europeans had a more significant impact, with the promotion of large-scale single-species export agriculture and livestock grazing. This led to increased clearing of forests, and the development of towns, adding many more species to the list of extinct animals of the Hawaiian Islands. As of 2009, many of the remaining endemic species are considered endangered.[26]
National Monument
On June 15, 2006, President George W. Bush issued a public proclamation creating Papahānaumokuākea Marine National Monument under the Antiquities Act of 1906. The Monument encompasses the northwestern Hawaiian Islands and surrounding waters, forming the largest[27] marine wildlife reserve in the world. In August 2010, UNESCO's World Heritage Committee added Papahānaumokuākea to its list of World Heritage Sites.[28][29][30] On August 26, 2016, former President Barack Obama greatly expanded Papahānaumokuākea, quadrupling it from its original size.[31][32][33]
Climate
The Hawaiian Islands are tropical but experience many different climates, depending on altitude and surroundings.[34] The islands receive most rainfall from the trade winds on their north and east flanks (the windward side) as a result of orographic precipitation.[34] Coastal areas in general and especially the south and west flanks, or leeward sides, tend to be drier.[34]
In general, the lowlands of Hawaiian Islands receive most of their precipitation during the winter months (October to April).[34] Drier conditions generally prevail from May to September.[34] The tropical storms, and occasional hurricanes, tend to occur from July through November.[34]
During the summer months the average temperature is about 84 °F (29 °C), in the winter months it is approximately 79 °F (26 °C). As the temperature is relatively constant over the year the probability of dangerous thunderstorms is approximately low.[35]
See also
- Hawaii Inter-Island Cable System
- Index of Hawaii-related articles
- List of birds of Hawaii
- List of fish of Hawaii
- List of mountain peaks of Hawaii
- List of Ultras of Hawaii
- Maritime fur trade
- Outline of Hawaii
Notes
- ^ The old name came from British naval officer James Cook, who chose it in honor of his sponsor the 4th Earl of Sandwich, the then First Lord of the Admiralty.
References
- ^ "Guide to State and Local Census Geography – Hawaii" (PDF). Washington, DC: U.S. Census Bureau. September 9, 2013. pp. 1–2. Archived (PDF) from the original on October 6, 2016. Retrieved September 16, 2016.
- ^ Blay, Chuck, and Siemers, Robert. Kauai‘’s Geologic History: A Simplified Guide. Kaua‘i: TEOK Investigations, 2004. ISBN 9780974472300. (Cited in "Hawaiian Encyclopedia : The Islands". Retrieved June 20, 2012.)
- ^ U.S. Geological Survey Geographic Names Information System: Island of Hawaiʻi
- ^ U.S. Geological Survey Geographic Names Information System: Maui Island
- ^ U.S. Geological Survey Geographic Names Information System: Oʻahu Island
- ^ U.S. Geological Survey Geographic Names Information System: Kauaʻi Island
- ^ U.S. Geological Survey Geographic Names Information System: Molokaʻi Island
- ^ U.S. Geological Survey Geographic Names Information System: Lānaʻi Island
- ^ U.S. Geological Survey Geographic Names Information System: Niʻihau Island
- ^ U.S. Geological Survey Geographic Names Information System: Kahoʻolawe Island
- ^ "Hawaii : Image of the Day". nasa.gov. January 29, 2014. Archived from the original on January 10, 2015. Retrieved June 4, 2015.
- ^ "Hawai'i Facts & Figures" (PDF). state web site. State of Hawaii Dept. of Business, Economic Development & Tourism. December 2009. Archived from the original (PDF) on October 22, 2008. Retrieved May 23, 2010.
- ^ "Tectonics, geochronology, and origin of the Hawaiian-Emperor Volcanic Chain" (PDF). The Geology of North America, Volume N: The Eastern Pacific Ocean and Hawaii. The Geology Society of America. 1989. Archived from the original (PDF) on June 11, 2011. Retrieved January 17, 2011.
- ^ McDougall, IAN; Swanson, D. A. (1972). "Potassium-Argon Ages of Lavas from the Hawi and Pololu Volcanic Series, Kohala Volcano, Hawaii". Geological Society of America Bulletin. 83 (12). Geology Society of American Bulletin: 3731–3738. Bibcode:1972GSAB...83.3731M. doi:10.1130/0016-7606(1972)83[3731:PAOLFT]2.0.CO;2. Archived from the original on May 24, 2022. Retrieved January 17, 2011.
- ^ Clague, David A.; Dalrymple, G. Brent; Moberly, Ralph (1975). "Petrography and K-Ar Ages of Dredged Volcanic Rocks from the Western Hawaiian Ridge and the Southern Emperor Seamount Chain". Geological Society of America Bulletin. 86 (7). Geology Society of America Bulletin: 991–998. Bibcode:1975GSAB...86..991C. doi:10.1130/0016-7606(1975)86<991:PAKAOD>2.0.CO;2. ISSN 0016-7606. Archived from the original on November 11, 2011. Retrieved January 17, 2011.
- ^ "Mauna Loa Earth's Largest Volcano". Hawaiian Volcano Observatory web site. United States Geological Survey. February 2006. Archived from the original on November 17, 2014. Retrieved December 9, 2009.
- ^ crossref. "Chooser". chooser.crossref.org. doi:10.1785/0120000060. Archived from the original on August 26, 2023. Retrieved January 17, 2024.
- ^ "Hawaii Earthquake History". United States Geological Survey. 1972. Archived from the original on April 19, 2009. Retrieved December 9, 2009.
- ^ "Top Earthquake States". United States Geological Survey. 2003. Archived from the original on August 31, 2009. Retrieved December 9, 2009.
- ^ Trusdell, Frank A.; Chadderton, Amy; Hinchliffe, Graham; Hara, Andrew; Patenge, Brent; Weber, Tom (November 15, 2012). "Tohoku-Oki Earthquake Tsunami Runup and Inundation Data for Sites Around the Island of Hawai'i" (PDF). United States Geological Survey. pp. 3–4. Archived (PDF) from the original on February 8, 2017. Retrieved October 11, 2016.
- ^ "Active Volcanoes of Hawaii | U.S. Geological Survey". United States Geological Survey. Archived from the original on June 8, 2023. Retrieved June 9, 2023.
- ^ "Hazards | U.S. Geological Survey". United States Geological Survey. Archived from the original on June 9, 2023. Retrieved June 9, 2023.
- ^ a b Pearce, Charles E.M.; Pearce, F. M. (June 17, 2010). Oceanic Migration: Paths, Sequence, Timing and Range of Prehistoric Migration in the Pacific and Indian Oceans. Springer Science & Business Media. p. 167. ISBN 978-90-481-3826-5. Archived from the original on February 26, 2024. Retrieved March 27, 2017.
- ^ Athens, J. S. (2014). "A paleoenvironment and archeological model-based age estimate for the colonization of Hawai'i". American Antiquity. 79 (1): 144–155. doi:10.7183/0002-7316.79.1.144. S2CID 163179921.
- ^ a b Shih, Ashanti Ke Ming (December 2019). Invasive Ecologies: Science and Settler Colonialism in Twentieth-Century Hawai'i (PhD thesis). Retrieved May 8, 2024.
- ^ Craig R. Elevitch; Kim M. Wilkinson, eds. (2000). Agroforestry Guides for Pacific Islands. Permanent Agriculture Resources. ISBN 0-9702544-0-7. Archived from the original on January 12, 2006. Retrieved September 26, 2005.
- ^ Barnett, Cynthia (August 26, 2016). "Hawaii Is Now Home to an Ocean Reserve Twice the Size of Texas". National Geographic. Archived from the original on November 16, 2018. Retrieved September 2, 2016.
- ^ "21 sites added to Unesco World Heritage list". Wikinews. August 5, 2010. Archived from the original on March 29, 2017. Retrieved March 28, 2017.
- ^ Saltzstein, Dan (August 4, 2010). "Unesco Adds 21 Sites to World Heritage List". The New York Times. Archived from the original on October 1, 2019. Retrieved March 28, 2017.
- ^ "World Heritage Committee inscribes a total of 21 new sites on UNESCO World Heritage List". whc.unesco.org. August 2, 2010. Archived from the original on December 1, 2019. Retrieved March 28, 2017.
- ^ Cocke, Sophie (August 25, 2016). "Obama expands Papahanaumokuakea marine reserve; plans Oahu trip". Honolulu Star Advertiser. Archived from the original on March 29, 2017. Retrieved March 28, 2017.
- ^ "Fact Sheet: President Obama to Create the World's Largest Marine Protected Area". whitehouse.gov. August 26, 2016. Archived from the original on January 20, 2017. Retrieved March 28, 2017.
- ^ Barnett, Cynthia (August 26, 2016). "Hawaii Is Now Home to an Ocean Reserve Twice the Size of Texas". NationalGeographic.com. Archived from the original on August 29, 2016. Retrieved March 28, 2017.
- ^ a b c d e f Lau, Leung-Ku Stephen; Mink, John Francis (October 1, 2006). Hydrology of the Hawaiian Islands. University of Hawaii Press. pp. 39, 43, 49, 53. ISBN 9780824829483. Archived from the original on January 18, 2023. Retrieved November 22, 2015.
- ^ "So ist das Wetter auf Hawaii". Hawaiiurlaub.de (in German). July 24, 2015. Archived from the original on August 7, 2020. Retrieved June 24, 2020.
Further reading
- Morgan, Joseph R. (1996). "Volcanic Landforms". Hawai'i: A Unique Geography. Honolulu, HI: Bess Press. ISBN 9781573060219. OCLC 693187693 – via Internet Archive.
- Johnson, James Yate (1880). . Encyclopædia Britannica. Vol. XI (9th ed.). p. 528-532.
- An integrated information website focused on the Hawaiian Archipelago from the Pacific Region Integrated Data Enterprise (PRIDE).
- Macdonald, Gordon A.; Abbott, Agatin (2021) [1970]. Volcanoes in the Sea: The Geology of Hawaii. Honolulu: University of Hawaii Press. doi:10.1515/9780824885786. ISBN 9780824885786. OCLC 1253313940.
- 1970 edition: Volcanoes in the Sea: The Geology of Hawaii at the Internet Archive (registration required)
- The Ocean Atlas of Hawai'i Archived April 7, 2022, at the Wayback Machine – SOEST at University of Hawaiʻi.
- "Hawaiian Volcanoes – Introduction – Department of Geosciences". Corvallis, OR, US. Archived from the original on March 5, 2012. Retrieved May 12, 2012. Volcano World |; Your World is Erupting – Oregon State University College of Science

